被災した人々は、 被災体験の重みを背負いながら、 向き合っている生活の現実を見据えて、 どのように当面の生活問題を切り抜け今後の生活を展望すべきか考えあぐねている。
生活水準を以前の状態に戻しさらに向上させる期待を持つことができる層は限定されており、 今回被害を集中的に受けた高齢者等の災害弱者や社会経済的弱者は多かれ少なかれ、 生活を切り詰めたうえで医職住を中心とする生活の全面的な見直し・立て直しの枠組みを模索していくしかない。
こうした生活の再設計をしていくさいに、 行政や地域住民組織等による一定のサポート体制が作動することにより辛うじてその枠組みがつくられると考えるか、 それとも、 生活を見直し切り詰めることで自力再建が可能と考えるかは、 クリアーすべき最低生活水準ラインとのかねあいもあり、 どこで線引きするかを含む激しい論争が繰り返されている。
被災地から離れた地域のばあい、 自治体レベルでの地域防災計画改訂作業の進捗により、 今後の防災対策の課題の摘出とそうした対策を支える住民の防災意識の喚起に焦点をあわせた議論へと論点が移行し、 被災現場の状況はなかなか伝わりづらい状況も出てきている。
過疎地域が恒常的に抱えてきた地域問題に比べれば、 大都市の被災地での生活再建と地域振興はまだ展望があるとの本音が、 厳しい地域(都市)間競争の現実にさらされていくなかで、 被災地と被災地外との「温度差」を生み出してきたのである。
現在、 この「温度差」を乗り越え被災地の住民と被災地外の住民とがリアリティをもって連携できるロジックと仕掛けを創造していくという高いハードルが課されている。
ひとつは、 まちの共同再建・まちづくりを考えていくさいに基本となる、 まちのイメージの擦り合わせとビジョンの共有化プロセスである。
もう一つは、 まちに住む、 異なる社会的背景を持つ人々(職業、 年齢、 地域での生活歴、 地域における交友関係、 利害関係等々の異なる人々)の人間関係を解きほぐして、 信頼できる関係を広げ信頼度を増していくプロセスである。
これら3つのプロセスは、 相互に刺激しあいながら進行していくことにより、 はじめて住民が相互に納得しうる具体的な事業計画案へと昇華していく。
復興まちづくり事業をめぐって紛糾を続けている地域で、 論争の焦点に据えられるポイントとして、 (1)前提的な現状認識や活動条件の理解のずれ、 (2)議論を煮つめていくうえでのルールの未確定、 (3)地域住民の代表性と地域住民組織(まちづくり協議会等)の決定権の不安定性、 (4)地域問題の課題解決のパターンの違い等があげられるが、 これらの論争点が表面化するのは上記のプロセスが十分進んでおらず、 おろそかにされてきたためでもある。
これらの論争点を乗り越えていくためにはこの個々の点での理解のずれを埋めていくだけでは不十分で、 上記のふたつのプロセス自体が問題になっていることを強く意識する必要がある。
最近、 被災地の災害復興まちづくりの現場を見て強く感じるのは、 地域住民が、 区画整理等の事業計画の手続きの細部にわたる議論に詳しくなる一方、 生活再建の幅の広い領域に通じる上記ふたつのプロセスについては、 際立った進展が見られず表立った話題にもされずに膠着状態が続いていることである。
紛糾しているところでは、 信頼関係を狭め亀裂を生む悪循環に陥っている。
被災時の緊急対応に活躍したコミュニティにおいても、 制度的な制約のなかで、 こうした悪循環に陥っているところは少なくない。
そうした典型例のひとつとして、 淡路島北淡町富島地区があげられよう。
〔次号に続く〕('95.5/7 記)
p1
1995年1月17日阪神間を襲った地震は、 私たちの生活を文字通り一変させてしまいました。
本当に多くの大切なものを失った一方で、 同じような思いを持った一市民がまちづくりについて自分の意見を言い、 10年先、 20年先、 100年先の自分たちの街のことを想像しながらネットワークし始めたことは大きな収穫だったように思います。
それまではまちづくりになど興味もなかった私も、 震災後、 私たちに着実に芽吹き成長する生命力で、 多大な希望を与えてくれた樹々や草花が、 復興作業が進められていく中で、 壊れた家やビルと共に瓦礫として捨てられている様子に、 「なんとかできないものだろうか」と思い始めたのです。
そんな中で実際に活動を始めるきっかけとなったのは新聞でたまたま紹介されていた『どんぐり銀行』の記事でした。
『どんぐり銀行』は、 香川県の林務課を中心に1992年より進められている活動で、 どんぐりを媒介に都市生活者(特に子供)が自然と森に足を運ぶことができ、 集めたどんぐりを通貨として苗木の払い戻しを受けることのできる緑の交換制度です。
いわば「ごっこ」が本当の緑の流通として通用することに驚くとともに、 このシンプルですばらしいシステムを現在の神戸で活かせば、 取り残されがちだった子供たちやお年寄りでも気軽に緑の復興に参加することが出きるのではないだろうかと考えました。
市民ひとりひとりの手で、 しかも楽しみながら緑の復元に係われるシステムを提供し、 街の中に、 自分たちのものとして親しみの持てる「森づくり」ができるならばこんなすばらしいことはないと考えたのです。
具体的な活動内容も決まらぬまま、 早速「どんぐり銀行」の事務局に問い合わせてみたところ、 暖かい理解と適切なアドバイスをいただき、 昨年5月15日数人の友人を巻き込んで、 神戸市西区の私の仕事場に『ドングリネット神戸』の事務局を開設するにいたりました。
『ドングリネット神戸』では、 まず活動の第一歩として『ドングリ銀行神戸』をスタートさせました。
参加方法は、 ドングリを集めて預け、 通帳に貯まった払い戻しとして苗木を受け取る『ドングリ預金者』と、 苗木を育成・提供する『プラントマスター』の2つからなります。
いずれも参加費は無料で(通帳代のみ実費200円)、 誰でも参加することができます。
1996年4月現在で、 『ドングリ預金者』は492名(うち学校・幼稚園は19校)、 『プラントマスター』としては18名が参加しています。
特に『ドングリ預金者』については、 昨年10月10日〜11月23日の間に、 神戸の総合運動公園や伊丹市の昆陽池公園など4箇所で5回臨時のドングリ預金受付窓口を開設し、 一気に参加者の数が増えました。
公園の中で手に握られるだけのドングリを拾って、 何度も運んできた子がいるかと思えば、 学校のみんなで集めたドングリをリュックに詰めてはるばるやってきた中学生たちもいました。
直接送られてくる分も合わせても、 一時は事務局が埋まるほどでしたが、 何とか近くに借りた畑に蒔き、 一部はビニルハウスでも育てて2、 3年後の払い戻しの苗として育てています。
また『プラントマスター』は、 神戸近郊以外にも福井・京都・長野・静岡・岐阜・奈良などの遠方からの参加者も多く、 そのほとんどが「神戸の街のために何か役に立ちたかったが、 そのときには何もできなかった」という中高年の方で、 必ずしも苗木生産のプロではなく、 趣味として植物を育てるのが好きという方たちがが、 自分の庭に飛んできた種や挿し木などを、 それぞれの場所で大事に育てて提供してくれています。
この5月4日と12日に開設される払い戻し窓口では、 初めて『プラントマスター』から送られてきた苗木が登場することになっています。
樹種は、 ドングリのなるナラ、 カシ以外にも、 モミジやマツ、 イチョウなど様々です。
さらに、 遠隔地からの参加者や住宅事情などで自宅に植樹できない人の払い戻し分を、 被災地内の公園や街路・学校などに、 『特別払い戻し』として植樹していく計画もあります。
これにはまだ多くの問題もありますが、 重要なことは少しづつでも実行していくことです。
その第1回として3月に、 本山第三小学校や兵庫北部幼稚園などにコナラやクヌギ、 アルプスオトメなどを植樹してもらいました。
最後に『ドングリネット神戸』のモットーをあげておきます。
p2
幸せなことに、 この共同建替を見守るようにたたずんでいる『立江地蔵』のパワーであろうか、 ゆっくりながらもこれまでのところ、 大きな障害もなく、 静かに着工の時を迎えようとしている。
この共同建替について、 支援チームの取り組みについて我々なりに見つめてきたことを紹介したいと思う。
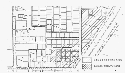
地域消防団と住民の必死の消火活動によって火災の拡大は免れたものの、 この地域では43戸、 約1,600m2が焼失した(図参照)。
地域内の道路は幅員2m内外のいわゆる『路地』であり、 多くの場合と同様に個別で再建しようとした場合、 条件の良い敷地を除けば、 建坪が約6坪程度しか確保しえず、 もはや住居としての体をなしえない状況である。
さらに、 これもまた多くの場合と同様に居住者は高齢化が著しいうえ、 権利関係は錯綜している。
しかしながら、 『路地』は、 残された震災前の写真や、 焼失を免れた周辺の『路地』の様子からもわかるように、 洗濯物が通りに面して干され、 軒先園芸の花と緑があふれる生活空間であり、 長屋の人達のつきあいの場でもあった。
地域の一角には、 住民たちがおまつりする『立江地蔵』があり、 毎年8月には地蔵盆が行われる。
震災直後の昨年も、 住民の人達は仮設住宅や避難地から帰ってきて例年以上に盛大に地蔵盆を行っている。
また、 今回の事業の中で行ったヒアリングにおいても、 『路地』にあった井戸でみんなで西瓜を冷やして食べた記憶などが語られ、 『路地』や『お地蔵さん』を中心としたコミュニティの強さを窺い知ることができる。
共同建替の計画名もこの『立江地蔵』にあやかるよう、 立江地区と称している。
現在、 地主は3名とも他所に居住し、 当該敷地には借家のみを所有していたが、 うち1名の地主が、 今回の建替を契機に店舗付き自家用住戸(オーナー住宅)を取得することになった。
ほとんどの権利者は、 再建資金があまり豊かではないため、 幾つかの支援制度を組み合わせ事業計画を立案した。
建設は公団事業とし、 賃貸部分(及び、 オーナー住宅)は「民営賃貸用特定分譲住宅制度」(以下「民賃制度」)を、 持家部分については「グループ分譲住宅制度」(いわゆるコーポラティブ住宅制度)をそれぞれ利用する。
また「民賃」部分は、 今回の震災復興のためにつくられた「特定目的借上公共賃貸住宅制度」(あじさいシステム、 以下「特目賃」)にもとづいて神戸市住宅供給公社が20年間借り上げ運営する。
この制度では、 被災している借家人に対して、 国と市による家賃補助が行われる他、 罹災証明を持つ従前借家人の優先入居を認めているため、 本事業でも、 現時点で7世帯の借家人が戻り入居することになっている。
また、 神戸市の「密集住宅市街地整備促進事業」により種々の共同化助成を受けているほか、 住宅再建のための利子補給制度を活用して、 地権者・借家人の負担を極力軽減している。
このような3つの公的機関の4つの事業制度の組み合わせにより、 従前居住していた持家の方5世帯と従前借家の方7世帯が、 元の場所で生活を再建できることとなり、 地主も従前の賃貸経営が再建できるのである。
〔次号に続く〕
(96年5月23日 記)
当日は、 神戸市内で活動している20地区を越えるまちづくり協議会の代表者とその活動を支援している人々など約150人が参加し、 今後の復興まちづくりにおける“まちづくり協議会のネットワークの形成”をテーマに、 各協議会の現状と今後の展望について議論が交わされました。
そのなかで、 市内の協議会をネットワークする組織として「連絡会」を設立することが提案され、 参加者一同の賛同を得ました。
そこで現在、 設立準備会を設け、 今夏の発足に向けてさまざまな検討が行われています。
しかし、 もともと都市基盤等の整備が進んでいたことなどにより、 いわゆる“白地区域”といって行政の支援の手が及びにくいエリアが区の大半を占めています。
よって、 復興は個々の自助努力にまかされています。
震災直後から、 東灘では多くの建築家、 プランナーたちによる支援活動、 ―共同建替え・マンション再建等の取り組み、 調査・提案活動など-が展開され、 また、 まちづくり協議会の立ち上げに向けた努力もされてきています。
一方、 “白地区域”がゆえに、 多くの復興から取り残されたエリアは広大に存在しています。
住民自身の立ち上がりと多くの専門家の支援が急務となっています。
こういった“白地区域”特有の課題の解決を図るとともに、 東灘区らしいまちづくりといった視点を織り合わせながら、 これからの復興まちづくりを少しでも進めていこうという趣旨で、 このフォーラムが企画されました。
区レベルで初めての復興の取り組みに、 多くの方々の参加を呼びかけます。
今回より編集方針を変更し、 白地区域等に焦点を当てた内容としています。
継続購読もよろしくお願いします。
災害復興まちづくりの3つのプロセスと膠着化の背景
被災地で災害復興まちづくりをすすめていくということは、 都市計画や区画整理等の事業計画を遂行していくプロセスという以上に、 次の2つのプロセスでもあるということを十分認識したうえで事業化を考えていく必要がある。
震災後2ヶ月目の北淡町・富島地区
『ドングリネット神戸』の活動について
ドングリネット神戸代表 マスダマキコ
『ドングリネット神戸』は、 震災後生まれた、 民間のノンプロフィットの小さな機関です。
(96年4月20日 記)

どんぐり銀行神戸のしくみ
95.10.10神戸総合運動場にて
真野地区・東尻池町7丁目立江地区共同建替(第1回)
立命館大学助教授 乾 亨 柴山建築研究所 柴山 直子
昨年の大震災以後、 建物安全調査の手伝いとして真野地区に入り、 6月頃、 真野コミュニティプランナーの宮西さんから、 この地区で唯一火災発生により焼失した東尻池町7丁目の共同建替について手伝わないかと声をかけられ、 無我夢中の中、 早くも一年を迎えようとしている。
(真野・東尻池町7丁目立江地区共同建替支援チーム)地域の概要
この共同建替の事業地である真野地区東尻池町7丁目立江地区は、 震災時の火災を住民の力で消し止め、 30年にわたる住民主体のまちづくりによってつちかわれたコミュニティの力が災害時に有効に働いた事例として広く注目を集めた地域である。
被災状況及び共同化区域図事業の概要
この共同建替事業では、 3名の地主と5名の持地持家の方が共同して、 火災で焼失した43戸のうち18戸(借家13戸・持家5戸)、 約730m2の敷地(「私道」及び「通路」を含む)を一体化(共有化)し、 12戸の借家と6戸の持家、 計18戸(うち2戸は店舗付き住宅のため区画数は20)の共同住宅を建設し、 区分所有する計画である。
真野地区・東尻池町7丁目立江地区共同建替の建築概要
まちづくり協議会のネットワーク形成に向けて
上山 卓
去る4月27日(土)、 日本建築学会主催の「住民参加による復興まちづくり」シンポジウム1996が開催されました。
4/27神戸市教育会館にて
〈資料あり¥1,000/1部(郵送料270円)〉INFORMATION
東灘市民復興まちづくりフォーラム開催のお知らせ
神戸市東灘区は、 今回の震災で最も大きな被害を受けた地区の1つです。
連絡先:神戸復興市民まちづくり支援ネットワーク/東部白地地域復興支援チーム
ジーユー計画研究所(後藤)078-251-3593、 遊空間工房(野崎)078-261-0337東灘市民復興まちづくりフォーラム
たつみ都志(武庫川女子大教授)、 重村力(神大教授)、 金芳外城雄(東灘区長)、 西崎敬四郎(美しい街岡本協議会会長)、 安福重照(福壽酒造社長)
6/5(水)〜9(日)10:00〜20:00
JR住吉駅・シーア2階セントラルコート
※いずれも入場料は無料。
主催:東部白地地域復興支援チーム
後援:神戸市東灘区役所被災地実態についての学生論文発表会
震災復興・実態調査ネットワークでは、 大学等で行われてきた震災に関する調査・研究の公開と、 若い人々の活動の支援を目的として、 以下のような学生論文発表会を企画しています。
復興まちづくりセミナー
078-361-4523
ネットワーク事務局より
「復興市民まちづくり」VOL.5を5月30日に発刊しました。第14回・西部市街地連絡会
■連絡先:阪神大震災復興市民まちづくり支援ネットワーク事務局
P.4
Restoration from the Hanshin Earthquake Disaster/SUPPORTER'S NETWORK for community development “Machi-zukuri”
〒657 神戸市灘区楠丘町2-5-20
まちづくり株式会社コー・プラン
TEL.078-842-2311 FAX.078-842-2203
担当:天川・中井
〒657 神戸市灘区六甲台町1
神戸大学工学部建設学科
TEL.078-803-1017 FAX.078-881-3921
担当:大西 一嘉
きんもくせい29号へ
このページへのご意見は学芸出版社/前田裕資へ
(c) by 阪神大震災復興市民まちづくり支援ネットワーク事務局
学芸出版社
詳細目次へ
支援ネットワーク関連ページへ
『震災復興まちづくり』ホームページへ
学芸出版社ホームページへ