○そのような「復興まちづくり」を進めるためには、 柔軟に対応できる、 行政や企業から独立した相当規模の民間非営利の資金が不可欠です。
その資金的支援の仕組みが、 今、 緊急に求められています。
そこで私たちは、 「阪神・淡路ルネッサンス・ファンド」を提案し、 多くの賛同者や協力団体とともに、 その実現に努力をすることにしました。
○このファンドは、 被災地域のうち、 原則として都市計画決定された地区以外の広大な区域を対象に、 復興まちづくりに取り組むさまざまな地元組織の活動と、 それに協力するさまざまな領域の専門家を支援します。
支援に当たっては、 制度の確立した事業の枠組みに沿うものは公的費用で、 また企業の事業化がはっきりしたものは後に事業費で賄いうることを考えて、 このファンドは、 そのいずれでもない、 あるいはそのいずれになるか未定の段階の広範な活動を支援しようとするものです。
○そのため、 今後5年間程度に必要とされる資金源として、 取り崩しを前提とする一定規模のファンドを確立したいと考え、 全国からの篤い志しに、 期待する次第です。
なお、 このファンドは、 社団法人日本青年会議所が1991年に設立した財団法人まちづくり市民財団の特別基金として、 現地(阪神・淡路)に設置する特別委員会及び現地事務局によって、 被災地の現状にねざした管理・運営をしていくこととしております。
9月28日(木)午後2時から、 県民会館(兵庫県庁東側)で行われる設立記念シンポジウムを出発点として、 募金を開始したいと思っています。

橋の上から左手前方に運河のような川に沿った家並みが見える。
運河といったのはもと尼崎城の外濠。
築地は江戸時代にこの外濠を挟んで尼崎城の真南の浅瀬にベネツィアのようにしてつくられたまちである。
この城下町築地が今回の震災でやられてしまった。
液状化が起こったのである。
●築地の整備に関しては前史がある。
尼崎臨海に明治後期以降産業施設が立地し阪神工業地帯の中核部の形成がすすんだ。
特に戦後の産業活動の進展は、 築地に様々な環境悪化をもたらしたが、 地下水の汲み上げは地盤の沈下を引き起こし、 築地は0m地帯となってしまった。
また、 昭和38年開通した第2阪神国道(43号)は市街地の切断・孤立化と沿道公害を引き起こした。
こういった経緯状況のなか昭和48年度に尼崎市プロジェクトチームによる地区整備案が発表された。
築地地区を全面的に再開発して住宅団地にし、 ここに国道43号に沿って隣接する西本町中在家地区の住民を移したうえで、 そこは工業用地にするといった案であった。
これに対して両地区から猛烈な反対があり白紙撤回。
その後、 住民と修復型の住環境整備や沿道環境整備について参加型の計画づくりが試みられた。
現在GU計画研究所の後藤さんのもとで、 その手伝いをしたのが私と築地の関係の最初である。
●今机上に「昭和52年度住宅建設事業調査 尼崎市南部住環境整備モデル事業調査報告書」(昭和53年3月尼崎市)がある。
出屋敷の印刷屋さんに泊まり込みでつくった思い出深いものである。
国の住環境整備事業のあたらしい展開をケーススタディすることを目標にしたものであった。
ここでは、 現在まで続いてきた環境および人々のつながりを急激に変革することは好ましくなく、 ゆるやかな変革=ゆるやかな住環境改善といったことが大切であろうという認識を基本に整備内容や手法が組み立てられた。
事業手法としては、 住民の合意による<街区設計計画>にもとづく行為に対して<総合助成・一括補助>する制度が提案された。
一方、 地元に対しては、 整備計画案を抱え、 夏の日メタンガスの泡ぶくぶくと浮かび上がる異常に水位の高い庄下川を渡って、 築地福祉会館へ何度か足を運んで地元の方と話しに行ったが、 結局「ほっといてくれ」ということだったとおもう。
いくつかの緑地整備や部分的な道路整備が行なわれた後、 市の方の取り組も沙汰止みとなっようで、 私の足も遠ざかってしまった。
●あれから15年余り。
実は震災前去年の晩秋に、 ふらっと築地に行ったことがある。
やや安心したというのが実感であった。
もっとへたっているのではないかという心配があったからだ。
関係したまちをきちっと点検していく必要があるなと感じていた。
自分自身の仕事への反省である。
そんなときに今回の震災は起こってしまった。
そしておはちがまわってきた。
最初、 「地元対応のコンサルをやってくれ」といわれたとき一度は断ったのだけれど、 2度目の依頼に引き受けてしまった。
事業方針は区画整理と改良事業の合併施行だという。
まぁなんと大胆なことをやるんや。
白紙撤回されたプロジェクトチームの計画がちらっと頭をかすめる。
例によって16mの骨格道路や5,000m2の公園など、 事業のための計画という面もあるものを築地の人がよしとするだろうか。
液状化した地盤改良もかさ上げとあわせてしなければならない。
地元での議論は比較的順調に進んだと言ってよい。
「液状化という個人ではどうしようもない被害だからこそ、 その整備を期待して市の事業にのるんだ」という意識が共通してあった。
途中8月8日に区画整理事業区域と骨格道路の都市計画決定があり、 「お盆までに」を目標に築地地区復興委員会による「まちづくり案」をまとめた。
そして、 まちの誇り初島大神宮のだんじりまつり(9月4日、 5日)を前に印刷物として全世帯に配布された。
今、 それに対する意見等の回収を待っているところである。
●殿様なき時代の「築地」をはじめなければならない。
築地を海に戻すことはできないのである。
(9/24記)

住宅の自力再建は、 まちの復興という視点からも期待されるものですが、 この中には違法なものも少なくありません。
確認申請が出されていないものをはじめ、 さまざまな違反がみられます。
とりわけ、 いわゆる2項道路違反については、 今後のまちづくりを大きく阻害するもので、 なかには従前以上に道路側に出ているものもあり、 問題は深刻です。
そこで、 このような違法建築物の建設を阻止するための一手段として、 特定行政庁である神戸市と建設業者の監督官庁である兵庫県に対し、 監視と是正指導の強化について、 できるだけ多方面から要望するための準備を進めています。
ただ違法建築物の防止は、 行政の指導だけでは困難な面もあり、 住民個々の自覚がまず重要だと思います。
多くの方々の賛同を得て、 運動を広げたいものです。
さて、 阪神・淡路大震災では、 私たちのどの地区も被害を蒙り、 住まいや仕事場の再建とまちの復興に向けて努力を続けているところです。
震災後8カ月が経過し、 住宅建替工事も部分的に、 そして徐々にではありますが始められており、 また、 まちづくりや住宅の共同化・協調化についての検討も随所で進められております。
しかし、 既にみられる建築行為の中には、 建築基準法の守られていないものも多いように見受けられます。
とりわけ、 法第42条2項に規定される後退をしない接道義務違反については、 今後のまちづくりを大きく阻害するもので、 問題は深刻と考えます。
つきましては、 特定行政庁であります神戸市の監視の強化、 ならびに違法建築物に対する是正指導をお願いする次第です。
建築行為に当たっての最低限のルールである建築基準法を遵守することは、 まちづくりの第1歩であると考えます。
地元まちづくり組織においても、 将来の理想のまちづくりの実現とともに、 最低限のルールを守るための活動にも取り組んでおりますが、 地元組織だけでは力に限界があります。
地区の復興に向けての我々の願意をおくみとりいただき、 なにとぞ早急の対処をお願いいたいします。
3月17日に土地区画整理事業区域として都市計画決定された6地区のうち最初の事業計画案が示されることになりました。
鷹取東地区では、 区域が一部重なっている野田北部地区における住民主体のまちづくりの取組みが先導するかたちで、 早期に住民の合意形成を図ってきました(→「きんもくせい」第10号参照)。
鷹取東地区の経験を参考として、 他の事業地区も早期の復興を目指していくことが求められています。
●事業計画のあらまし
海外からはIPA(ニューヨーク行政研究所)のデビット・マメン所長以下6人の都市計画の専門家が参加した(内4人は6月に来日し調査活動を行っている→「きんもくせい」11号・6/24参照)。
14日の午後は総合フォーラムが行われ、 前日の各フォーラム(まちづくりフォーラム1,2、 産業復興フォーラム)のまとめの報告及びフリーディスカッション(座長:下河辺淳氏、 パネリスト:伊藤滋氏、 マメン氏、 兵庫県知事、 神戸市長等8人)が行われた。
締めくくりに下河辺氏からは1社が1提案を行うこと、 マメン氏からは都市設計・住民参加等の研究や国際的に専門家によるサポートを行う国際的研究機関を神戸に創設することを提案した。
14日の午前中は、 「コミュニティと防災まちづくりについての専門家円卓会議」(主催:日本都市計画学会)が開かれ、 海外及び国内の専門家12人が参加し、 市民参加について多角的な議論がなされた。
特に日本独特の住民組織である町内会についての議論が活発に行われた。
もしも関西を直撃していたらと仮設住宅やまだまだテントぐらしの方々を思うと(関東の方にはごめんなさい)そっと胸をなでおろしました。
今回はうれしいお知らせ。
阪神市街地緑花再生プロジェクトのシンボルマークができました。
世界的に有名なイラストレーター、 和田誠さんにお手紙を書き我々ネットワークのこれから続く先の見えない活動の指針となり、 広く世界に向けてアピールできるシンボルマークをとお願いしました。
またまた無謀な天川でしたがすぐにお返事をいただき思い浮かべていた希望どおりの絵を送ってくださいました。
毎日眺めてほのぼのとした気持ちになっています。
のんびり構えず、 10月中旬の種蒔きに間に合うよう、 まずはTシャツづくりから取り組みます。
春咲きの種のお金づくりにも一役買ってもらえるよう、 ネットワークの皆さんもお買い上げください。
*これまで魚崎地区(神戸市東灘区)では、 関西建築家ボランティアと魚崎震災復興本部が計3回のシンポジウムを開催してきました。
今回は4回目で約4カ月ぶりの開催となります。
この間、 関ボラでは神戸市の支援も受けた調査活動や、 共同化等の地元支援活動に取組んできています。
シンポジウムではこれらの報告とともに、 復興まちづくりの提案を行う予定です。
魚崎地区は、 いわゆる白地地域(重点復興地域以外の地域)で、 そこでのまとまった復興の取組みとして注目されています。
11月4日(土)午後、 旧居留地の朝日ホールにて。
シンポジウムと映像の会です。
詳細は追ってお知らせいたしますが、 皆さんも楽しみにお待ちください。
ぜひともこういった方々の参加を呼びかけていただきたいと思います。
■連絡先:阪神大震災復興市民まちづくり支援ネットワーク事務局
P.4
(各まちづくり協議会などからの提出要望案)
日ごろから、 地元まちづくり組織の活動にご協力、 ご支援をいただき、 ありがとうございます。
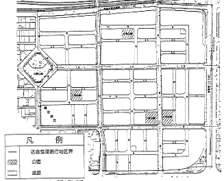
違法建築物の取締り強化について(お願い)鷹取東地区(長田区)の事業計画案
鷹取東第1地区(JR以南)の土地区画整理事業計画案の縦覧が9月18日より始まりました。
・施行面積:約8.5ha
・事業施行期間:事業計画決定の日から5カ年の予定
・総事業費:約100億円
・整備される公共施設:
〈区画道路等〉幅員4〜11mの生活道路
〈公園等〉400〜500m2の公園4カ所+小規模公園
・平均減歩率:9%(予定) 一定面積未満の宅地は緩和を図る
鷹取東第1地区土地区画整理事業計画案
縦覧場所での参考図の展示、 縦覧は10/1まで
まちづくりの整備イメージ(1/500模型)
INFORMATION
国際フォーラム開催される
9月13,14の両日、 神戸市のホテルオークラで「阪神・淡路地域復興国際フォーラム」(主催:総理府阪神・淡路復興対策本部、 国土庁、 通産省、 兵庫県、 神戸市、 関経連、 神戸商工会議所)が開催された。
専門家円卓会議(9/14.AM)花咲かだより・その6
幸い関東にそれた台風一過、 楠丘町のコスモスの大部分は無残にも倒れました。
「阪神市街地緑化再生プロジェクト」のシンボルマーク第4回魚崎地区まちづくりシンポ 10/10開催
ネットワーク事務局より
お知らせ
野田北部地区(一番に区画整理事業決定地域に決まった鷹取東地区に一部重なってます)で震災直後から町と人々(『人間のまち、 野田北部の人々』)をビデオで撮り続けておられる青池憲司監督さんの映画を住民で見る会を企画しています。
野田北部を撮り続けている青池憲司監督ネットワーク会議等
●第9回西部市街地連絡会(毎月第1水曜) コアレポート:長田地区のまちづくり運動(三谷 真)、 腕塚10丁目周辺地区の取り組み(竹内市郎)
日時:10月4日(水)18:30〜
場所:神戸Fビルディング
●コレクティブハウジング事業推進応援団・第2回ミーティング
日時:10月9日(月)18:30〜
場所:神戸Fビルディング
問合せは当ネットワーク事務局まで
*第1回の会合では、 今後の取り組みを充実して行くために、 都市計画や建築関係以外の人達―ソーシャルワーカーなど福祉関係に携わっている人達等―の参加が不可欠であることを合意しました。
〒657 神戸市灘区楠丘町2-5-20
まちづくり株式会社コー・プラン
TEL.078-842-2311 FAX.078-842-2203
担当:天川・中井
〒657 神戸市灘区六甲台町1
神戸大学工学部建設学科
TEL.078-803-1029 FAX.078-803-1029
担当:児玉
きんもくせい17号へ
このページへのご意見は学芸出版社/前田裕資へ
(c) by 阪神大震災復興市民まちづくり支援ネットワーク事務局
学芸出版社
詳細目次へ
支援ネットワーク関連ページへ
『震災復興まちづくり』ホームページへ
学芸出版社ホームページへ